10119 Guadalupe Trail NW
Albuquerque, NM 87114
$800,000
4.96 acres
01/08/2026
Listing Date
1096506
Listing #
87114
Zip Code
Bernalillo
County
About This Property
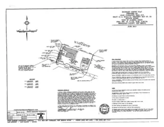
Looking for the ideal setting for your North Valley dream home? This exceptional 4.96-acre parcel offers A-1 zoning and irrigation rights through the MRGCD, providing an opportunity for both residential and agricultural use. The property's primary access is from Guadalupe Trail, with secondary access from 4th Street. With its generous acreage, the lot may offer subdivision potential. Parties interested in subdividing should verify options directly with Bernalillo County Planning & Development. Utilities are in street. Boundary Survey and Plat Map are available under documents tab. Come view this remarkable canvas in one of the North Valley's most desirable areas.
Building And Construction
Property Type:
Land
Fencing:
Partial
Exterior And Lot
Lot Size Acres:
4.96
Lot Size Square Feet:
215,883 sqft
View (Yes/No):
Yes
Provisional
MLS #:
1096506
Current Use:
Agricultural, Unimproved
Listing Terms:
Cash, Conventional
Possible Use:
Agricultural, Unimproved
Area And Schools
City:
Albuquerque
Postal Code:
87114
MLS Area Major:
Far North Valley
Subdivision:
Lands Of Luciano Garcia
County:
Bernalillo
Topography:
Level
Distance To Electric Comments:
In Street
Distance To Gas Comments:
In Street
Distance To Phone Service Comments:
In Street
Distance To Sewer Comments:
In Street
Distance To Water Comments:
In Street
Horse Amenities:
Horses Allowed
Horses Allowed:
Yes
Irrigation Source:
Canal/Ditch
Lot Features:
Views, Acreage
Number Of Lots:
1
Parcel Number:
101606510542020509
Elementary School:
Alameda
Middle School:
Taylor
High School:
Valley
Utilities
Utilities:
Electricity Available, Natural Gas Available, Sewer Available, Water Available, Sewer Not Available, Water Not Available
Location
Directions: From 4th and Alameda, Head North on 4th to Guadalupe Trail; West on Guadalupe Trail to property on right where Guadalupe Trail and Guadalupe Ct. meet.
Mortgage Calculator
$
$
%
Monthly Payment**:
** All calculations are estimates and provided for informational purposes only. Actual amounts may vary.
New Homes for Sale in Albuquerque Area
View All
Listing courtesy of Ida Kelly Realtors
Some of the information contained herein has been provided by SWMLS, Inc. This information is from sources deemed reliable but not guaranteed by SWMLS, Inc. The information is for consumers’ personal, non-commerical use and may not be used for any purpose other than identifying properties which consumers may be interested in purchasing.
Some of the information contained herein has been provided by SWMLS, Inc. This information is from sources deemed reliable but not guaranteed by SWMLS, Inc. The information is for consumers’ personal, non-commerical use and may not be used for any purpose other than identifying properties which consumers may be interested in purchasing.
Daria Derebera
Real Estate Broker in Albuquerque, NM