
Pajarito And Douglas Road SW
Albuquerque, NM 87121
$1,750,000
67.6 acres
08/09/2023
Listing Date
1039459
Listing #
87121
Zip Code
Bernalillo
County
About This Property
Opportunity is pounding at your door! Time to get up and answer! Acreage awaits your imagination and development, almost 70 of them priced at about $25,000 per adds up for a wonderful affordable housing project or ? What do you have in mind? Other owners are well underway with plans, area could soon burst open with activity.
Building And Construction
Property Type:
Land
Exterior And Lot
Lot Size Acres:
67.6
Lot Size Square Feet:
2,944,656 sqft
Lot Size Dimensions:
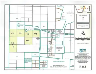
See map for lot layout
View (Yes/No):
Yes
Provisional
MLS #:
1039459
Current Use:
Other, Residential, Single Family, Unimproved
Listing Terms:
Cash, Conventional
Possible Use:
Other, Residential, Unimproved
Area And Schools
City:
Albuquerque
Postal Code:
87121
MLS Area Major:
Pajarito
Subdivision:
Pajarito
County:
Bernalillo
Topography:
Level
Distance To Electric Comments:
In Street
Lot Features:
Split Possible, Views, Acreage
Number Of Lots:
6
Parcel Number:
100905103329620105
Elementary School:
Pajarito
Middle School:
Polk
High School:
Rio Grande
Utilities
Utilities:
Other, See Remarks, Sewer Not Available
Water Source:
Other, See Remarks
Location
Directions: From the Coors Blvd / Gun Club Road intersection, proceed south on Coors approximately 1.3 miles to Pajarito Road, a signalized intersection. Head west about 1 mile. SW corner of Pajarito Rd and Douglas RD SW. Lat/Long: 34.993773, -106.737328;
Mortgage Calculator
$
$
%
Monthly Payment:
New Homes for Sale in Albuquerque Area
View All
Listing courtesy of Granfors Realty,LLC
Some of the information contained herein has been provided by SWMLS, Inc. This information is from sources deemed reliable but not guaranteed by SWMLS, Inc. The information is for consumers’ personal, non-commerical use and may not be used for any purpose other than identifying properties which consumers may be interested in purchasing.


Daria Derebera
Real Estate Broker in Albuquerque, NM
Agent Contact Request Sent
Thank you for contacting us. An agent will reach out to you as soon as possible.
Showing Request Submitted
Thank you for scheduling a showing. We'll confirm the details with you shortly.
Schedule a Showing
Information Request Submitted
Thank you for your interest. We'll get back to you shortly.